Hurricane Florence achieves DIRECT HIT on Brunswick nuclear power plant in Southport, NC… pray for our safety
![]() |
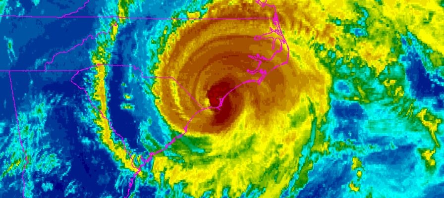
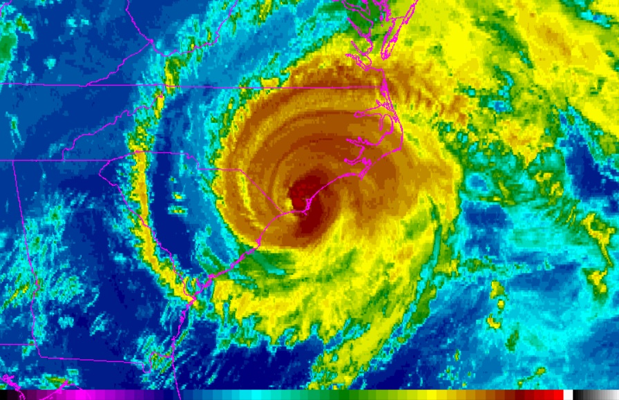
(Natural News) Hurricane Florence, which achieved landfall early Friday morning, has achieved a direct hit on the Brunswick nuclear power facility in Southport, NC. The eye of the hurricane — where the winds are the most severe — is right now swirling directly over the nuclear power containment buildings, battering them with 100+ MPH winds…. |
Powered by WPeMatico


