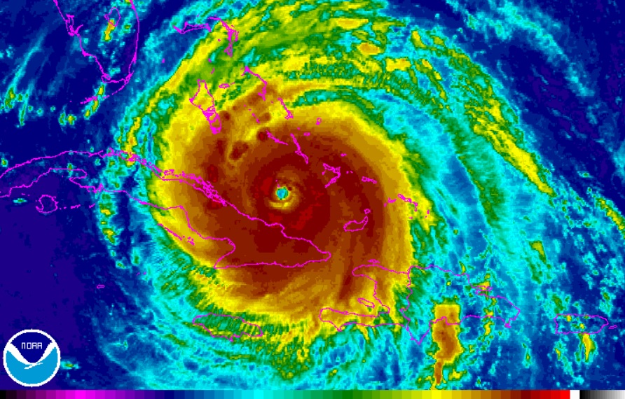
Hurricane Irma headed for "catastrophic" impact… fuel shortages strand Floridians… no escape for many
![]() |
(Natural News) There’s something to be said about getting out of the way when bad things are headed in your direction. In the same way that you should never stand on the railroad tracks and play chicken with an approaching train, you probably shouldn’t challenge a category-5 hurricane to a game of “who’s the bigger… |
Powered by WPeMatico


